Listing Tools

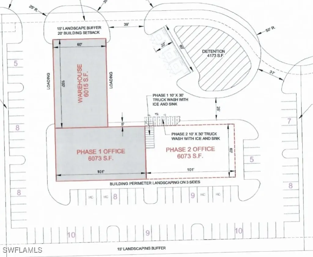
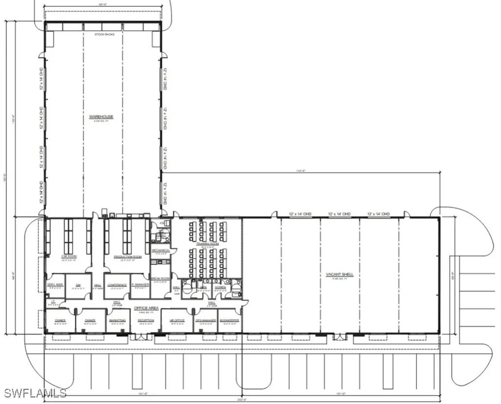
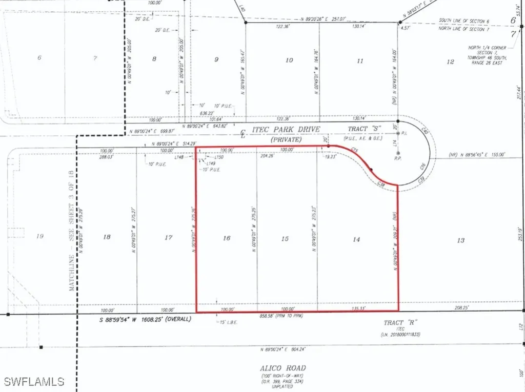
2.04± Acres on Alico Road in ITEC Park - Fully Entitled Commercial Site Shovel-Ready Land with Approved Development Order A prime 2.04± acre commercial land parcel located within the growing ITEC Park in Fort Myers, Florida. This rare opportunity features direct Alico Road frontage and is fully entitled with a Development Order already in place. ? **Development Order Approved (DO # DOS2022-00177)** ? Plans for one 6,015 SF warehouse and two 6,073 SF office buildings (total 18,161 SF) ? All engineering, site plans, renderings, and survey included ? Ready for permits - no delays This parcel is ideal for an owner/user, developer, or investor looking to build immediately in a high-demand industrial corridor. The rectangular layout offers excellent visibility and accessibility, with ample space for parking, stormwater management, and functional building design. ?? **Location Benefits:** * Fronts Alico Road in ITEC Park * Just 2.6 miles to I-75 (Exit 128) * Minutes to RSW International Airport and major Southwest Florida business hubs * Surrounded by established flex, warehouse, and light industrial development With its fully approved status, strategic location, and ready-to-develop condition, this property represents one of the most turnkey land offerings available in the Fort Myers market.

Property Details

Exterior Features

Community

Map Location

Listed by David Bartley,Sr of Bartley Realty LLLP

Based on information submitted to Gulf Coast as of November 7, 2025 . All data is obtained from various sources and has not been, and will not be, verified by broker or Gulf Coast.  All information should be independently reviewed and verified for accuracy. Properties may or may not be listed by the office/agent presenting the information. NOTICE: Many homes contain recording devices, and buyers should be aware they may be recorded during a showing.

Hi there! How can we help you?

Contact us using the form below or give us a call.

Send Us A Message:

I agree to receive marketing and customer service calls and text messages from Sarah LeVeque. To opt out, you can reply 'stop' at any time or click the unsubscribe link in the emails. Consent is not a condition of purchase. Msg/data rates may apply. Msg frequency varies. Privacy Policy.

Do not fill in this field:

This site is protected by reCAPTCHA and the Google Privacy Policy and Terms of Service apply.

Hi there! How can we help you?

Contact us using the form below or give us a call.

Send Us A Message:

Do not fill in this field:

This site is protected by reCAPTCHA and the Google Privacy Policy and Terms of Service apply.

Hi there! How can we help you?

Contact us using the form below or give us a call.

Send Us A Message:

Do not fill in this field:

This site is protected by reCAPTCHA and the Google Privacy Policy and Terms of Service apply.

Do not fill in this field:

This site is protected by reCAPTCHA and the Google Privacy Policy and Terms of Service apply.

Do not fill in this field:

This site is protected by reCAPTCHA and the Google Privacy Policy and Terms of Service apply.

Do not fill in this field:

This site is protected by reCAPTCHA and the Google Privacy Policy and Terms of Service apply.

$

Do not fill in this field:

This site is protected by reCAPTCHA and the Google Privacy Policy and Terms of Service apply.